Skip to main content
English
Arabic
Bengali
Chinese Simplified
Greek
Indonesian
Italian
Korean
Nepali
Urdu
Vietnamese

Consultation has concluded

Background

On 13 November 2025, a Development Application was lodged to Council (DA-1221/2025) at 586 Henry Lawson Drive, East Hills.

This application has been lodged and awarded consent by:

  • Transport for NSW – Maritime,
  • Department of Primary Industries and Regional Development (Fisheries), and
  • NSW Department of Planning, Housing and Infrastructure – Crown Lands

This proposal

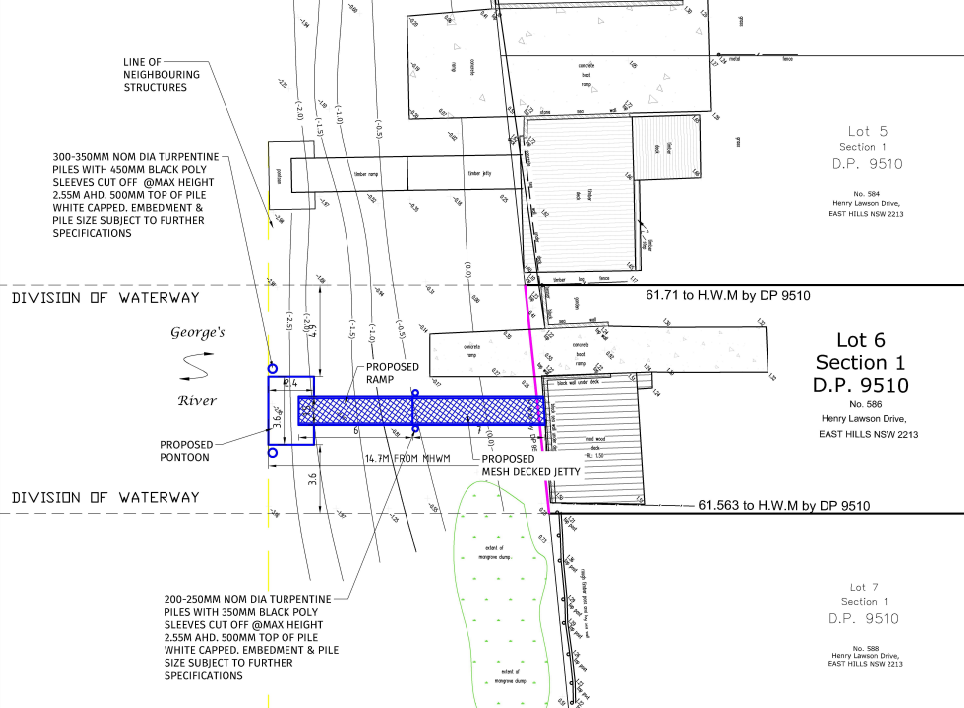
The Development Application includes the construction of a jetty, ramp, pontoon and two (2) fender piles on the Georges River.

The ramp will measure 6.0 m x 1.5 m, while the pontoon will measure 3.6 m x 2.4 m. The jetty will incorporate two turpentine piles with a toe diameter of 200– 250 mm, encased in 350 mm black poly sleeves. In addition, two fender piles will be installed on either side of the pontoon, constructed from turpentine timber with a toe diameter of 300–350 mm and encased in 450 mm black poly sleeves.

Both the jetty and fender piles will be cut off at a height of 2.55 m Australian Height Datum (AHD) and finished with white caps.

More information:

Please look up the development application on our DA tracker with the following numbers:

  • 1221/2025

The Development Application is publicly available on Council’s website from 3 December to 16 December 2025.

586 Henry Lawson Drive

Timeline

  • Timeline item 1 - complete

    Thursday 4 December 2025 - Thursday 18 December 2025

    Exhibition Period

    This consultation is open for contributions.

  • Timeline item 2 - active

    Thursday 18 December 2025 05:00pm

    Closed

    Contributions to this exhibition are closed, reviewed and reported back to the project team.

  • Timeline item 3 - incomplete

    Consultation summary

Have your say

Who's listening

If you have questions or want to learn more about the project, please email us or contact the Council officers listed below.

Contact Information
Email haveyoursay@cbcity.nsw.gov.au
In writing

By post to Mr Matthew Stewart, CEO, City of Canterbury Bankstown PO Box 8, Bankstown NSW 1885

George Telo
George Telo
Town Planner

City of Canterbury Bankstown

Phone: 9707 9902

Stella Jean-Louis
Stella
Community Engagement Officer

City of Canterbury Bankstown

Phone: 9707 9578

The City of Canterbury Bankstown acknowledges the Traditional Custodians of the land, water and skies of Canterbury-Bankstown, the Darug (Darag, Dharug, Daruk, Dharuk) People. We recognise and respect Darug cultural heritage, beliefs and relationship with the land. We acknowledge the First Peoples’ continuing importance to our Canterbury-Bankstown community.